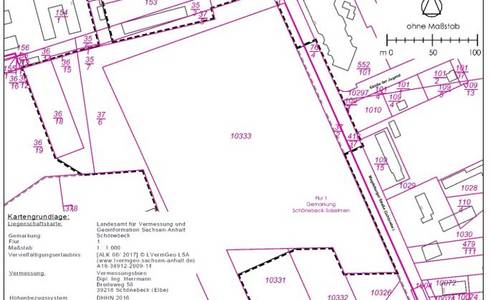
Bebauungsplan Nr. 38 „ACF-Fläche Magdeburger Straße“

Satzungsbeschluss 1. Änderung
Der Stadtrat der Stadt Schönebeck (Elbe) hat mit Beschluss vom 27.11.2025 den Satzungsbeschluss zur 1. Änderung des Bebauungsplanes Nr. 38 "ACF-Fläche Magdeburger Straße" gefasst (Beschluss-Nummer 0195/2025). Die zugehörige Begründung wurde gebilligt. Der ...
weiterlesen...
12.12.2025

Bebauungsplan Nr. 38 „ACF-Fläche Magdeburger Straße“

Aufstellungsbeschluss 1. Änderung
Der Aufstellungsbeschluss des Bebauungsplans Nr. 38 „ACF-Fläche Magdeburger Straße“, 1. Änderung wird hiermit gemäß § 2 Abs. 1 Baugesetzbuch (BauGB) bekanntgemacht. Er wurde vom Stadtrat der Stadt Schönebeck (Elbe) am 12.09.2024 ...
weiterlesen...
17.10.2024

Bebauungsplan Nr. 38 „ACF-Fläche Magdeburger Straße“

Satzungsbeschluss 2000
Der Stadtrat der Stadt Schönebeck (Elbe) hat in seiner Sitzung am 04.05.2000 den Bebauungsplan Nr. 38 „ACF-Fläche Magdeburger Straße“ als Satzung beschlossen. Die Satzung wurde am 24.05.2000 bekannt gemacht. Der Bebauungsplan Nr. 38 „ACF-Fläche Magdeburger ...
weiterlesen...